Cleopatra
Gast
Bedankte sich:
x gedankt in Beiträgen
Bei mir ist gestern die Lieferung eingetroffen, und heute morgen vor dem Frühstück habe ich das erste Täßchen getrunken.
Ich finde den Geschmack absolut unspektakulär – allerdings bin ich auch seit Jahrzehnten gewöhnt, so ziemlich jede Brühe zu trinken, bei der man irgendwelches Kraut mit heißem Wasser übergossen hat  Da war schon bitterereres dabei ;-)
Mit der Salbe werde ich mal meinen Alterswärzchen im Gesicht zuleibe rücken, die stören mich doch arg! Internetrecherche hat schon vor einiger Zeit ergeben, daß es sich dabei nicht um klassische Warzen handelt, weswegen die typischen Mittel (Schöllkrautsaft, Teebaumöl etc.) da nichts helfen. Jetzt hoffe ich auf die Wunderwirkung vom Einjährigen Beifuß
Es bedanken sich: Inara , Paganlord , Violetta , Ela , Saxorior , Andrea , Erato , Naza , Kuro , Sirona , Dancred , Alexis , Anuscha , Wishmaster
Beiträge: 1.416
Themen: 77
Registriert seit: Jan 2008
Bewertung:
1.470
Bedankte sich: 19370
25486x gedankt in 997 Beiträgen
30.05.12020, 11:41
(Dieser Beitrag wurde zuletzt bearbeitet: 30.05.12020, 12:40 von Sirona.)
Zitat:Mein Körper hatte bei der ersten Einnahme ganz schön zu tun. So wurde mir erst einmal sehr warm. Ich hatte fast schon das Gefühl etwas Fieber zu bekommen.
Fast die gleiche Erfahrung habe ich auch gemacht, allerdings habe ich zuerst mit der alkoholfreien Tinktur begonnen, und es dauerte ungefähr eine halbe Stunde, bis mir so extrem warm wurde. Ich habe mit 1/2 TL auf ein Glas Wasser begonnen. Nach ungefähr 2 Stunden wurde ich dann auch sehr müde.
Derzeit nehme ich die alkoholfreie Tinktur morgens und den Tee am Nachmittag ein (immer mit der niedrigen Dosierung), und es geht mir sehr gut dabei. Ein paar Tage hatte ich mit Müdigkeit zu tun, die jetzt nach ungefähr 1 Woche nicht mehr da ist.
Es gibt meiner Meinung nach bitterere Geschmacksrichtungen als den Artemisia-annua-Tee.
Tue was Du willst, aber wisse was Du willst!
Beiträge: 304
Themen: 14
Registriert seit: Mar 2012
Bewertung:
705
Bedankte sich: 19709
5669x gedankt in 236 Beiträgen
Ab in den Garten...
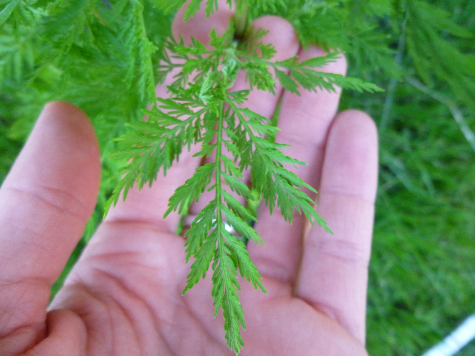
Unser einjähriger Beifuß ist jetzt ca. 2 cm groß.
Da es schon Mitte Juni ist, müssen die kleinen Pflanzen einfach raus.
Mal schauen, wie robust sie sind...
Wir haben in unserem Garten ein Fläche von 1,8 x 2,8 m vorbereitet.
Das Beet erhielt frische Muttererde.
Auf den folgenden Bildern sieht man sehr gut, was die Pflanzen für ein Wurzelwerk gebildet haben.
Wir haben bewusst die Pflanzen alle zusammen gelassen, um die Verletzung der zarten Wurzeln zu vermeiden.
Die Pflanzen wurden mit einem Pflanzabstand von 50 cm gesetzt.
Den ersten Gewitterguß haben sie überstanden.
Auf dass sie wachsen und gedeihen.
Geduld in allen Dingen führt sicher zum Gelingen.
Es bedanken sich: Sirona , Cnejna , Paganlord , Violetta , Inara , Munin , Erato , Saxorior , Naza , Waldschrat , Pamina , Andrea , Dancred , Wishmaster , Alexis
Beiträge: 1.416
Themen: 77
Registriert seit: Jan 2008
Bewertung:
1.470
Bedankte sich: 19370
25486x gedankt in 997 Beiträgen
Artemisia-Salben Erfahrung:
Ich merkte, dass eine Fieberblase auf der Lippe im Entstehen war. Also habe ich gleich die Salbe auf die spannende und kribbelnde Stelle gegeben und dann abgewartet, wie es sich entwickelt.
Wer schon mal eine Fieberblase hatte, der weiß, dass es am Anfang ein unangenehmes Gefühl bei der Entstehung der Fieberblase gibt. Das war nach dem ersten Eincremen mit der Salbe bei mir nicht mehr vorhanden. Ich habe die betroffene Stelle mehrmals täglich betupft. Natürlich - wenn man an die Stelle hinfassen muss, ist es etwas unangenehm. Aber nichts im Vergleich zu dem, wie es sonst bei mir gewesen ist.
Noch ein Vorteil, den ich an mir bemerkt habe: normalerweise wird eine Fieberblase bei mir immer etwas größer. Diesmal hat sie sich nach dem ersten Cremen von der Größe her nicht mehr verändert.
Tue was Du willst, aber wisse was Du willst!
Es bedanken sich: Paganlord , Violetta , Inara , Munin , Erato , Saxorior , Naza , Waldschrat , Ela , Pamina , Andrea , Vale , Dancred , Alva , Wishmaster , Alexis , huginn
Beiträge: 1.068
Themen: 89
Registriert seit: Mar 2010
Bewertung:
770
Bedankte sich: 21138
9515x gedankt in 514 Beiträgen
Die Creme hat bei uns nun den Namen "Zaubercreme"...
Bei unseren Kindern hat die Creme nun einen Kultstatus und wird für alle Wehwehchen selbständig genommen und angewendet.
Aus meiner Sicht: die Creme lindert Insektenstiche, Ekzeme, und auch kleine Wunden können sehr gut damit behandelt werden.
Es bedanken sich: Paganlord , Inara , Naza , Andrea , Ela , Saxorior , Violetta , Cnejna , Sirona , Alva , Vale , Dancred , Waldschrat , Wishmaster , Alexis , huginn
Beiträge: 304
Themen: 14
Registriert seit: Mar 2012
Bewertung:
705
Bedankte sich: 19709
5669x gedankt in 236 Beiträgen
4 Monate alte Pflanzen
Unsere Pflanzen am Haus sind schon ein ganzes Stück gewachsen. Der Platz gefällt ihnen gut.
Sie haben vom Sonnenaufgang bis 15.00 Uhr volle Sonne und stehen windgeschützt. Außerdem werden sie täglich gegossen.
Wir haben eine Pflanzenhöhe von 58 cm zu verzeichnen.
3 Monate alte Pflanzen
4 Monate alte Pflanzen
Blattwerk
Geduld in allen Dingen führt sicher zum Gelingen.
Es bedanken sich: Saxorior , Violetta , Cnejna , Erato , Andrea , Kuro , Sirona , Munin , Rahanas , Paganlord , Inara , Naza , Pamina , Alva , Waldläufer , Vale , Dancred , Waldschrat , Daeira , Wishmaster , Alexis , huginn
Beiträge: 1.469
Themen: 159
Registriert seit: Apr 2004
Bewertung:
1.667
Bedankte sich: 23626
20335x gedankt in 933 Beiträgen
18.06.12020, 23:55
(Dieser Beitrag wurde zuletzt bearbeitet: 19.06.12020, 00:08 von Erato.)
Hallo zusammen,
ich möchte gern meine persönlichen Erfahrungen mit euch teilen:
- An einem Morgen hatte ich Schmerzen im Hals und in den Nebenhöhlen. Ich habe beobachtet, daß das öfter durch das berufliche Zwangstragen der Maske, Klimaanlage und das Aufhalten in der Stadt vorkommt. An diesem Morgen habe ich mir gleich eine alkoholfreie Tinktur-Wassermischung zubereitet. Kurz nach dem Einnehmen waren alle unangenehmen Symptome verschwunden.
- Vor einiger Zeit hat mich ein Migräne-Anfall erwischt. Eigentlich geht dann nur: Badewanne und ab ins Bett. Am nächsten Morgen ist alles vorbei. An diesem Tag mußte ich jedoch noch einen Termin wahrnehmen. Das ist dann der Moment, wo man sich ein Wunderheilmittel wünscht. Und ... es scheint es zu geben! Auch an diesem Tag habe ich mit der Tinktur gearbeitet. Es hat ungefähr 1 h gedauert, und die Schmerzen waren unglaublich gedämpft.
- Außerdem habe ich das Gefühl, daß dieses Wunderkraut, ähnlich wie Ashwaganda, emotionale Anspannungen, wie z. Bsp. Streß, Ängste und Nervosität reduziert. Hier kann man auch von äußeren Einflüssen sprechen, die abgeschirmt werden. Es ist sehr deutlich spürbar.
Ich bin euch unendlich dankbar, daß ihr dieses Kraut thematisiert habt
Liebe Grüße
Erato
Finde Dich selbst!
Es bedanken sich: Kuro , Alva , Andrea , Paganlord , Cnejna , Vale , Saxorior , Sirona , Naza , Ela , Munin , Waldschrat , Violetta , Pamina , Wishmaster , Alexis
Beiträge: 1.416
Themen: 77
Registriert seit: Jan 2008
Bewertung:
1.470
Bedankte sich: 19370
25486x gedankt in 997 Beiträgen
Hab mir vor kurzem einen Artemisia-annua-Sirup hergestellt.
Rezept:
Zur Herstellung des Erfrischungsgetränkes 1 Teelöffel getrocknete Artemisia-Blätter und die abgeriebene Schale von 5 Zitronen in 500 ml Wasser für 3 Minuten kochen, abkühlen lassen, filtern. Saft von 5 Zitronen und Zucker nach Belieben zugeben.
Etwas Sirup in ein Glas Wasser verdünnt mischen, eiskalt serviert, so schmeckt es mir am Besten!
Tue was Du willst, aber wisse was Du willst!
Es bedanken sich: Erato , Cnejna , Violetta , Ela , Inara , Vale , Paganlord , Naza , Kuro , Waldschrat , Wishmaster , Andrea , Munin , Alexis
Beiträge: 197
Themen: 2
Registriert seit: Oct 2016
Bewertung:
658
Bedankte sich: 9412
5653x gedankt in 206 Beiträgen
Heute war bei uns wieder der erste wirkliche Sommertag nach etlichen kühlen und regnerischen Tagen.
Ich werde jetzt auch gleich mein gekühltes Sirupfläschchen kurz aufschütteln und dann mein mit Wasser verdünntes Erfrischungsgetränk auf der Terrasse mit Katze auf dem Schoß genießen.
Danke für dieses Sommer-Rezept.
Es bedanken sich: Paganlord , Kuro , Cnejna , Violetta , Naza , Sirona , Waldschrat , Wishmaster , Andrea , Alexis , huginn
Beiträge: 1.178
Themen: 196
Registriert seit: Jan 2019
Bewertung:
1.230
Bedankte sich: 18074
9308x gedankt in 438 Beiträgen
Erfahrungsbericht Hernes Son:
Ich verwende die Artemisia-Salbe zum Eincremen des Gesichtes und der Haut. Ich muss sagen, das Ergebnis ist hervorragend, und ich habe ein viel bessere Haut. Gerade die fettige Eigenschaft tut meiner Haut gut, und sie ist nicht mehr so trocken. Ich kann die Artemisia-Salbe als Hautcreme uneingeschränkt empfehlen, wenn man mit den fettigen Eigenschaften klarkommt.
Im A & O das Geheimnis liegt - Omega siegt!
Es bedanken sich: Andrea , Paganlord , Violetta , Saxorior , Erato , Inara , Sirona , Alva , artus , Naza , Ela , Dancred , Slaskia , Alexis , huginn
|